|
|
|
Publisert:
12.11.2021 | Oppdatert: 18.11.2024
Global Climate Change - How Agribusiness Prepare for Such Changes

Dr. Oleksii Orlov,
PhD in Agriculture

Risks to
field crops will increase with climate change.
Even classical drought tolerant crops, such as
sunflower, are at risk of death due to climate
change and extreme drought (photo
©
Dr. Oleksii Orlov,
2013). Contact Agricultural
Consulting for consulting service of climate changes adaptation of
agriculture!
The increase in
production costs in agribusiness, the volatility of markets and the
demand for increased food production, coupled with the need to
reduce greenhouse gas emissions (from the world's leading
economies), are already shaping how farmers producing field crops
are doing business now and see their future. Efficient use of
resources is important to maintain the profitability of
agribusiness, as well as the using of
innovations and the use of new
varieties of plants to maintain increased crop yields of major field
crops in a changing climate.
Unfortunately,
many farmers, for example in Ukraine, do not have good opportunities
to increase the production of field crops in a temperate climate,
especially in the southern regions of the country. But there is no
government food strategy that supports increased sustainable food
production, emerging biofuel markets, environmental conservation and
water protection in rural areas.

Strong action at once by two diseases -
phomopsis and alternariosis for sunflower.
According to research (Dr. Oleksii Orlov,
Agricultural Consulting,
2010-2017), in Ukraine, 90% of sunflower fields are affected
annually by diseases. The most progressive
ones are phomopsis, phomosis, sclerotiniosis, root rot, gray rot,
alternariosis. There are also new diseases
that have not been observed before. The
same situation is characteristic of other crops.
Risks for growing field crops increase due to
increased pressure of various diseases in existing crop rotation
(photo ©
Dr. Oleksii Orlov,
September 13, 2016, Poltava region, Ukraine)
In the context
of climate change, there are important goals for farmers and
agro-industrialists:
-
Management
of input prices for various resources for agribusiness
(fertilizers, pesticides, seeds, machinery, fuel, gas and
electricity), which are growing
-
Pests
control that is resistant to insecticides
-
Increasing
risks for the production of field crops, due to increased
pressure and infectious pressure of various diseases
-
The
need for proper use of herbicides, due to the emergence of
resistant weeds and the strong aftereffect of certain groups of
herbicides on subsequent crops in crop rotation - a change in
the action of pesticides on various harmful organisms and
regulation of their use
-
The
release of nitrous oxide from the soil as a result of the use of
nitrogen fertilizers
-
Soil
erosion and loss of forest belts due to their poaching and
burning stubble in the fields
-
Lack
of financial resources and their high cost - the entire medium
and small segment of farmers are practically devoid of good bank
financing
-
A
sharp increase in the tax burden in recent years (for example,
in Ukraine a simplified taxation system for agribusiness has
already been eliminated, an additional tax + 20% VAT has been
introduced)
-
These are
all problems that agricultural farmers must consider in order
for their business to be successful
-
Combination of the adverse effects of climate
change and the coronovirus pandemic (many markets are closed or
restricted)

Herbicide-resistant weed - ambrosia, in many countries you will not
surprise anyone. Herbicides containing
sulfonylureas and imi herbicides are the most dangerous for weed
resistance. There is also weeds with double
resistance: to glyphosates + ALS. They also
have the strongest aftereffect on subsequent crops in the crop
rotation (photo ©
Dr. Oleksii Orlov,
Ukraine)
According to British scientists, agriculture produces more
than 7% of greenhouse gases in the UK, and nitrous oxide (N2O)
is greenhouse gas, which makes up almost half of these
emissions. This gas is 298 times more effective in its
impact on the climate than carbon dioxide (CO2),
and is released from the soil partly as a result of the use
of nitrogen fertilizers (both industrial and organic). A
number of measures, such as applying the right field crop
fertilizer system, improving nutrient management and soil
management, can help reduce nitrous oxide emissions.

Non-energy-efficient equipment is a
big problem for farmers as it increases the costs of
production.
Lack
of bank financing, a large and increasing tax burden
annually is a huge problem for farmers in Ukraine. Many
farmers and agricultural enterprises are using old,
non-energy-efficient equipment that has already exhausted
its resource, which is 15-30 years old. It consumes a huge
amount of resources and time, and does little work - i.e.
not energy efficient and unprofitable! (photo
©
Dr. Oleksii Orlov,
Ukraine)
The
good
news for farmers are that
taking measures to both reduce greenhouse gas emissions and
adapt the business to unavoidable climate changes has many
financial and environmental benefits, such as cost
optimization, increased yield, reduced soil erosion and
increased profitability. Thus, there are certain
opportunities for farmers to get additional profit due to
climate change.
OPPORTUNITIES FOR FARMERS WITH CLIMATE CHANGE:
-
Optimization of various resources for agribusiness
through improved nutrient management planning and the
use of modern fertilizer systems
-
Cost
savings by improving energy efficiency
-
An
increase in demand for field crop production in World
and development of new crops markets and a potential
decrease in yield in other parts of the World
-
Potential for higher yields due to warmer climate and
higher atmospheric CO2
-
New
genetics - new crops and varieties suitable for our
climate that maintain stable yields or increase yields
under climate change, for example:
facultative wheat,
durum wheat, corn,
soybeans,
sunflowers, millet,
sorghum, chickpeas and other oilseeds and crops
containing starch.

Sunflower is one of the crops that is able
to increase its productivity during climate warming.
In the photo - sunflower in dry conditions
is able to form an acceptable yield (photo
©
Dr. Oleksii Orlov,
August 16, 2017, Zaporizhia region, Ukraine)
MAIN
CHALLENGES FOR AGRICULTURAL BUSINESS IN CHANGE OF CLIMATE
TIME:
-
A
steady increase in production and increased competition
between agricultural producers to meet the demand from a
growing population on the Planet
-
Increased risks of loss of invested funds and financial
risks due to the possibility of loss of yields from the
effects of drought
-
Market segmentation, increased competition in individual
segments, increased specialization and improved quality
of manufactured products that are growing in price
-
Proper use of plant protection products and integrated
pest management
-
Control of pests, weeds and diseases caused by climate
change
-
Fight and prophylactic actions against more extreme
weather events
-
Adaptation to changes in water availability and
associated costs
-
Managing risks from the effects of an increasingly
volatile global food markets

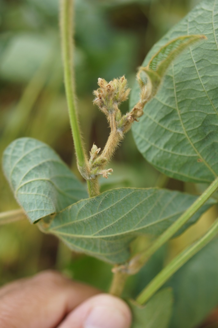
Some farmers in 2017-2020, due to the drought,
lost their fields of soy and wheat, as well as other crops
or received a minimum yield that does not provide any
profit. At the photo: soybeans under extreme
drought - growth points die
(photo
©
Dr. Oleksii Orlov,
August 24, 2017, Kyiv region, Ukraine)

At the photo: soybeans under extreme
drought - soybeans under extreme drought - beans and plants
died
(photo
©
Dr. Oleksii Orlov,
August 24, 2017, Kyiv region, Ukraine)
RESOURCES USING EFFICIENCY
The
targeted application of a good system for optimizing the use
of nitrogen fertilizers and the costs of their application
can help reduce greenhouse gas emissions from nitrogen
fertilizers and soil, as well as indirect emissions from
industrial fertilizer production. More efficient use of
various resources, energy efficiency, as well as improved
breeding of cultivated plants, will allow agricultural
producers to narrow the gap between actual and potential
crops and, therefore, increase the efficiency of land use
and production of field crops.
1.
Nutrient Management and Fertilizer Application:
-
Nutrient management
planning should include regular testing of the soil for
the content of essential nutrients and microelements -
this will highlight areas of the fields where
fertilizers can be better applied according to the
nutrient requirements of crops, reduce the cost of
applying unnecessary fertilizers and increase
productivity
-
Use nitrogen-fixing crops
in crop rotation and apply nitrogen-fixing cover crops
to improve soil structure and reduce the cost of
nitrogen fertilizers. Grow
soybeans, peas, apply
cover crops - for example, a mixture of red clover,
vetch and rye. However, the cultivation of such crops
will not necessarily reduce nitrous oxide emissions (or
leaching of nitrates)
-
Apply right in soil and
make effective the use of organic fertilizers: manure,
compost, sewage sludge, anaerobic digestate, etc. - this
will contribute to the production of humus and nutrients
by field crop plants and will save money
2.
Precision Agriculture and
innovations
-
Precision
farming technologies
offers many advantages in terms of reducing the cost of
production resources, reducing the use of fuel in the
field, improving soil quality and reducing environmental
production costs
-
Agribusiness's precision
field logistics technology offers similar benefits,
minimizing soil compaction and, therefore, improving
soil structure and quality and increasing yields
-
CTF systems -
optimization of transport and field logistics, reduction
of fuel costs
-
Soil cultivation
strategies and crop growing technologies need to be
revised to reduce fuel costs
-
Assess the effectiveness
of transport logistics in the entire supply chain (for
example, transportation of grain), and study new
low-carbon fuels and electricity using for transport and
on-farm logistics
3.
Energy:
-
Farmers can reduce costs
and increase profitability by investing in more
energy-efficient equipment, buildings, machinery, grain
drying systems and humidity control and also to on-farm
green energy facilities
4.
Planning:
-
Growing
activity periods and time from sowing to harvesting for
different crops may vary, which will affect the timing
of agricultural work, the timing of sowing and
harvesting, and this will accordingly affect the
planning of financial resources and resources during
these labor-intensive periods
-
Reduction
in the number of working days due to weather conditions.
This may require additional equipment and careful
management in order to carry out all work in a shorter
time and reduce damage to the soil structure during
intensive periods of tillage and harvesting
-
Work with other farmers,
experts and the media
to exchange information and experience
5. Consulting:
-
Good consulting from
Agricultural Consulting Service
can help you make high profits in the face of climate
change, make your business more efficient and
competitive

At the photo - sunflower plant died
during flowering from drought due to late sowing.
With climate change, the number of working
days for performing agricultural operations decreases, which
requires better management and better equipment and
mechanisms for carrying out all works in a shorter time
(photo
©
Dr. Oleksii Orlov,
August 18, 2017, Kherson region, Ukraine)

Late-sown
sunflower field, died from strongly air and soil drought (photo
©
Dr. Oleksii Orlov,
August 18, 2017, Kherson region, Ukraine)
Necessary actions:
-
Creating
a good fertilizer application system and plant nutrient
management system
-
Optimizing the use of organic and mineral fertilizers
-
It
is imperative to know the exact nutrient content of
organic fertilizers before they are applied and apply
the correct for organic standards
-
Reduce nitrogen losses during logistics and storage of
manure and other organic fertilizers
-
-
Ensure the availability of water resources for
production needs
-
Reduce greenhouse gas emissions and environmental
pollution by your agricultural business
-
Introduce
innovations, increase energy efficiency, new varieties
of crops with resistance to drought and increased
productivity
-
-
Contact us for
consulting, creation, development and support of projects and creation of a business turnkey!
Disclaimer
© Agricultural Consulting
Service. Technical audit of agribusiness. Agricultural business projects and
agricultural companies turnkey. Consulting services for agriculture,
aquaculture, natural resources, environment, safe energy in industry and
home construction. Increasing the
profitability of business, obtaining additional profits
|
|
|